Malpasset Dam (France, 1959)
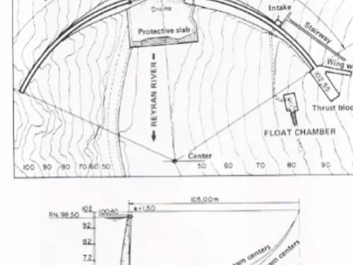
Malpasset Dam was a concrete arch dam located on the Riveria in the Cannes District near Fréjus, in Southern France. Exhibiting curvature in both the plan and section directions, the double-curvature arch structure spanned the Reyran River. At the time of completion in 1954, it was reported as the thinnest arch dam of its height (218 feet) with a maximum thickness of 22.2 feet. The dam was equipped with one un-gated, notched spillway at the center of its 736-foot-long crest. Because the planned left abutment of the dam (from an upstream perspective) was higher than site topography, a large dihedral thrust block was placed below the dam to raise it to the necessary height. Construction of the dam began in 1952 and the first filling of the reservoir began on April 20, 1954. Approximately five years later, when the first filling was nearly complete, Malpasset Dam failed on December 2, 1959 after the area experienced several days of heavy rain and high winds. The sudden failure of the dam resulted in the death of 421 people when emergency rescue attempts were thwarted due to the inaccessibility of the town’s flooded roadways and access routes.

A series of foundation deficiencies and human oversight led to the instability issues at the Malpasset Dam. The dam was designed by Andre Coyne with the primary goal of optimizing its shape and thinning its structure. Prior to construction, little effort was devoted to analyzing the geology of the foundation on which the dam was to be located. Geological investigations that took place after the dam’s failure revealed that it had been built on a gneiss formation with a foliation structure exhibiting a slope of thirty to fifty degrees in the downstream direction of the dam. In addition, a fault oriented perpendicular to the river was discovered just downstream of the dam.
The foliation pattern of the foundation in combination with the presence of the fault and the forces associated with the water accumulating behind the dam caused the gneiss along the left abutment to enter a compressive state in which the permeability of the formation decreased with the increasing pressure behind the dam. Uplift pressure at the abutment caused by this phenomenon increased with the filling of the reservoir until it was great enough to dislodge the thrust block. Failure of the left abutment led to the ultimate failure of Malpasset Dam as cracks resulting from the uplift pressures that moved the thrust block propagated quickly across the dam face.
References:
(2) Goodman, R. (2013). On the Failure of Malpasset Dam. Proceedings of the AEG Shlemon Specialty Conference: Dam Failures and Incidents. Association of Environmental and Engineering Geologists.
Lessons Learned

Concrete gravity dams should be evaluated to accommodate full uplift.
Learn more
Dam incidents and failures can fundamentally be attributed to human factors.
Learn more
Early Warning Systems can provide real-time information on the health of a dam, conditions during incidents, and advanced warning to evacuate ahead of dam failure flooding.
Learn more
Stability of the dam foundation and other geologic features must be considered during dam design.
Learn more
Timely warning and rapid public response are critical to saving lives during a dam emergency.
Learn moreAdditional Lessons Learned (Not Yet Developed)
- External independent peer review of designs and decisions is an effective means of providing quality assurance an reducing the risk associated with design oversights and deficiencies.

Delivering Benefits through Evidence: Lessons from Historical Dam Incidents

Lessons from Serious Incidents at Seven Arch Dams

Risk Analysis for Concrete Arch Dams

The Traps Behind the Failure of Malpasset Arch Dam, France, in 1959
Additional Resources not Available for Download
- Jansen, R. B. (1988). Advanced Dam Engineering for Design, Construction, and Rehabilitation. New York: Wiley.
- Pedro, J.O. (1999). Arch Dams: Designing and Monitoring for Safety. New York: Springer.
- VandenBerge, D., Duncan, J., & Brandon, T. (2011). Lessons Learned From Dam Failures. Virginia Polytechnic Institute and State University.
- Goodman, R. On the Failure of Malpasset Dam. AEG Shlemon Specialty Conference.
- Goodman, R. Issues with Rock in Engineering for Concrete Dams. AEG Shlemon Specialty Conference.